大分県:第十二海軍航空廠 高城発動機 地下工場跡
地質の特徴

特殊地下壕,地下工場,第二次世界大戦

地形と地質の三次元イメージ(産総研・1/20万 シームレス地質図)
‼マウスオーバー‼  地図上にマウスを乗せてください。産総研・地質調査総合センターの「1/20万 シームレス地質図(出典,下記)」を表示します。

発動機工場として使用された「地下壕」は,第四紀後期チバニアン期(約20万年前頃)までに形成された「堆積岩」又は「段丘」に掘削されました。
前面は「河川(海岸?)平野堆積物(沖積低地)」が,広々と広がる場所であったと想像します
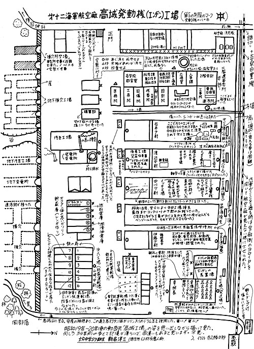
工場跡地の範囲は,新名氏(下記)の見取り図を基に推定しました。 転記ミスなどで正確ではないかもしれません。 ご了承ください。
【現場写真】 地下工場跡地(特殊地下壕)

日豊本線の大分駅から宮崎方面へ2駅の「高城駅」付近の崖下に,それは現存していました。
「立ち入らないでください」という看板だけで特に扉や柵もないので,実に簡単に下のような写真が撮影できます。

地下工場(地下壕)の内部です。 戦争当時のコンクリートとは思えないほどしっかりしており,鹿屋市や那覇市/豊見城市の海軍司令部壕に比べると,
安全そうだ,という感触はあります。 水が溜まっていたので奥まで行きませんでしたが,横坑(横穴)があります。

付近には,このような小型の地下工場(地下壕)も存在します。  現在では,資材置き場などに利用されているようです。
【現場写真】 護国神社の資料館

(左)護国神社の境内に保管されている高城工場の資料館で撮影しました。
写真右側の鉄扉は「第6工場」のもの,写真左の「プロペラ」は九六式陸上攻撃機のものという説明がありました。
記事・参考情報など

【記事】

  • 昭和17年に完成した第12海軍航空廠高城発動機工場は,第1工場から第7工場まで存在しましたが,空襲が激しくなると工場背後の山腹に地下工場(地下壕)を掘削して疎開が行われたようです。
  • 工場は戦後順次解体されましたが,地下工場(地下壕)は2009年5月時点で存在していました。
  • 撮影時点でも,極めて状態の良いコンクリート製です。
  • 「立入りしないでください」という柔らかな警告文が掲載されているだけで扉や柵などは無いので,その気になれば誰でも立ち入ることができます。
  • 貴重な戦争遺跡であるため,安全である限りこのままの状態を保って欲しいと思います。

【右図について】

  • パネル作者である「新名さん]の住所と電話番号は処理により消しました。
  • 図には,地下工場(地下壕)の見取り図が描かれていますが,写真(2枚目)の状況とは異なります。
    すなわち,見取り図では,横坑(横穴)を超えてもまっすぐに掘削されていますが,写真では横坑(横穴)で行き止まりです。

【お断り】

  • 本ページは,「地質情報ポータルサイト」で公開されていた「日本の地質案内」の当該ページを,最新の知見に基づきバージョンアップしました。

画像をクリックすると,別ページで拡大表示します。